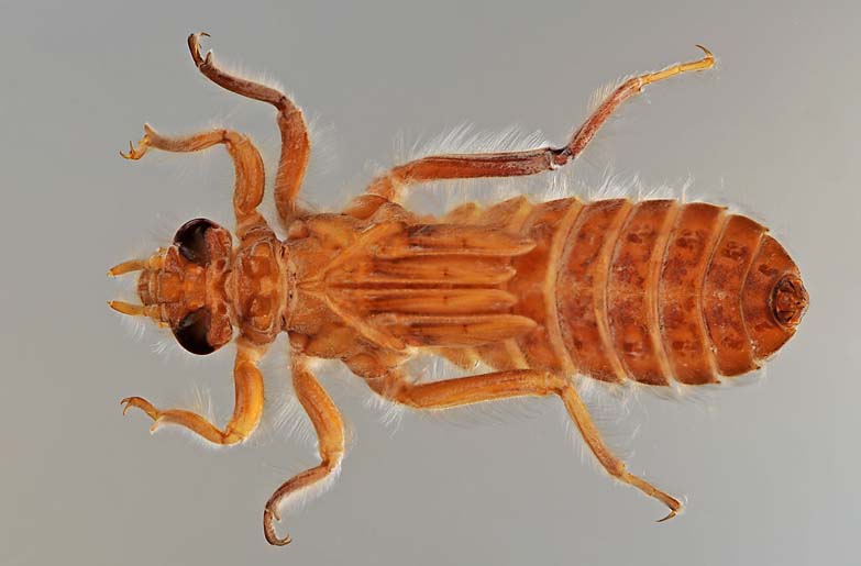
[2645] Gomphus vulgatissimus
Code de l'Appellation du Taxon:
2645 Nom latin de l'Appellation du Taxon:
Gomphus vulgatissimus Statut de l'Appellation du Taxon:
Validé Type d'Appellation du Taxon:
Appellation référente Date de création de l'Appellation du Taxon:
Lun, 17/10/1994 Date de la dernière mise-à-jour de l'Appellation du Taxon:
Lun, 07/03/2016 Rédacteur de la fiche de l'Appellation du Taxon:
Conseil Supérieur de la Pêche Références Bibliographiques de l'Appellation du Taxon:
(Linné, 1758) Commentaires sur l'Appellation du Taxon:
MAJ : ajout du code alternatif 65225 du MNHN
MAJ : modification automatique du thème.
MAJ : suppression automatique du code alternatif d'origine "ONEMA" : "05060105" Auteur de l'Appellation du Taxon:
(Linnaeus, 1758) Appellation du Taxon Parent:
[679] Gomphus Niveau Taxonomique:
Espèce CodeAlternatifAp
Identifiant du code alternatif:
2573 Code alternatif:
65225 Origine du code alternatif:
TAXREF Identifiant du nom commun:
501 Nom(s) Commun(s) de l'Appellation du Taxon:
Gomphe vulgaire Image Appellation Taxon:
Source de l'image:
Site Perla : http://perla.developpement-durable.gouv.fr
Auteur de l'image:
Ministère en charge de l'environnement
Licence de l'image:
CC-BY-NC
Image Appellation Taxon:
Source de l'image:
Site Perla : http://perla.developpement-durable.gouv.fr
Auteur de l'image:
Ministère en charge de l'environnement
Licence de l'image:
CC-BY-NC
Page mise à jour le
29/11/2016
Deconnection
Contact

